Section 1 Map
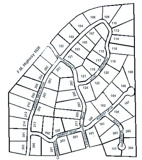
Below are images of Section 1, Which contains includes Phalarope Dr., Goldeneye Circle Killdeer Dr., and sections of Leisurewoods Dr. and Canyon Dr. Click on the images to see larger versions.
Below are images of Section 1, Which contains includes Phalarope Dr., Goldeneye Circle Killdeer Dr., and sections of Leisurewoods Dr. and Canyon Dr. Click on the images to see larger versions.